Les captures de grosses altises adultes ont débuté précocement cette année, s’étalant de début septembre pour les secteurs les plus précoces à mi-septembre. Les premières larves commencent à être observées sur la zone Nord & Est.
La période de surveillance via les tests Berlèse doit débuter à partir de maintenant : cette vidéo détaille la réalisation du test. Ces 1ères mesures fourniront un début d’estimation quant à la quantité de larves d’altises présentes cette campagne. Compte tenu de la persistance du vol des adultes sur certains secteurs, des émergences échelonnées sont à prévoir. Il est donc fortement recommandé de refaire un test Berlèse 2 à 3 semaines plus tard.
N’intervenez qu’en cas de besoin
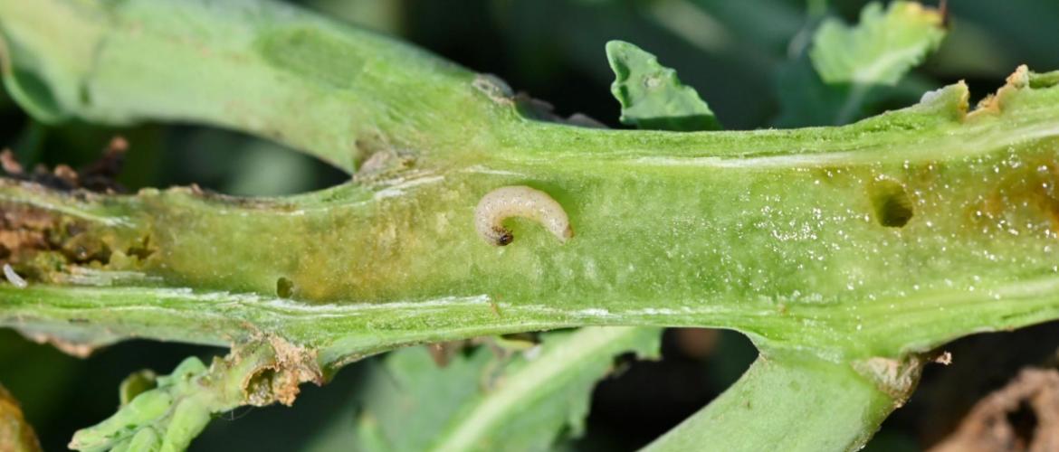
Le risque d’avoir des dégâts nuisibles dépend de l’état de croissance du colza à l’entrée de l’hiver et de sa capacité à engager rapidement la montaison au printemps (contexte pédo-climatique, choix variétal, enracinement). Au début de leur vie, les larves sont relativement mobiles et s’introduisent par la face supérieure des pétioles des feuilles. Au gré des conditions, elles poursuivent leur développement pendant l’hiver en minant et se réfugiant dans les pétioles des feuilles. Le gel ne tue pas les larves. Dans le pire des cas, les larves gagnent le cœur des plantes avant ou pendant la reprise de végétation en sortie hiver.
Attention à ne pas confondre les larves

Terres Inovia propose un outil d’estimation du risque lié aux larves de grosse altise, accessible gratuitement en ligne, basé sur l’aspect agronomique de la parcelle et la pression du ravageur. Attachez une réelle importance aux fortes infestations conjuguées à un risque agronomique élevé (petit colza, faim d’azote, pivots défectueux, reprises tardives, etc.), les dégâts sont généralement plus sévères (seuil à 3 larves par plante).
Grille de risque simplifiée adaptée au territoire

Avec quoi intervenir si nécessaire ?
Il convient en premier lieu de s'informer sur l'état des résistances de l’altise aux pyréthrinoïdes. Dans les zones où la résistance est généralisée, MINECTO GOLD est le seul moyen de contrôler les larves. Dans les autres secteurs où ce type de résistance a été identifiée, l’utilisation de pyréthrinoïdes reste efficace, mais ce produit est une solution pour freiner la progression de cette résistance. Cela peut permettre de façon durable, de contrôler l’altise avec plusieurs solutions.
MINECTO GOLD a obtenu une dérogation 120 jours en colza pour lutter contre les attaques larvaires d’altise d’hiver. Une application unique est autorisée à partir du stade 6 feuilles de la culture. Un test Berlèse devra être réalisé au préalable.
Rappel : nos essais montrent qu’en l’absence de résistance forte SKDR, la lambda-cyhalothrine (Karaté Zéon dans nos essais) est le pyréthrinoïde le plus efficace, supérieur à la cyperméthrine. La deltaméthrine (Decis Protech dans nos essais) est intermédiaire. Les pyréthrinoïdes particuliers etofenprox, tau-fluvalinate, esfenvalérate sont en retrait en termes d’efficacité.
Les insecticides sont efficaces sur des larves d'altises L1 et L2. Pour être efficace, l’intervention chimique doit être positionnée, après avoir « fait le plein » de larves aux stades sensibles (L1 et L2), c'est-à-dire lorsque les larves sont encore mobiles. Dans les essais, les meilleures efficacités sont obtenues en tendance lorsque les températures moyennes ne descendent pas sous 7°C les quelques jours qui encadrent l’intervention. Les applications de sortie hiver ne sont pas efficaces pour réduire l’impact des insectes sur les plantes.

Etat des lieux de la résistance des altises aux pyréthrinoïdes (KDR et SKDR).



